Skip to main content

Destinations

10 of the most impressive hotels for stargazing
With northern lights fever fuelling a wider trend for astro-tourism, our writer uncovers the best accommodation picks in destinations that will have clients reaching for the stars
Aer Lingus to launch 'almost year-round' UK-Nashville link via Dublin
Irish carrier will operate the route four times a week, with feeder flights from eight UK airports
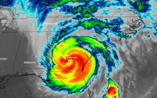
Hurricane Helene: 'catastrophic' storm makes landfall in Florida
Florida’s Big Bend region was in line to feel the worst effects of Helene, but potentially life-threatening conditions are forecast across much of the state’s western coast
Tropical Storm Helene: Mexico and Florida brace as storm intensifies
Helene has gained strength as it passes Cuba and Mexico, and is forecast to turn into a category three hurricane before making landfall in Florida later this week
EasyJet and British Airways to launch flights to Georgia's capital Tbilisi
EasyJet and British Airways will offer direct links from the UK to Georgia’s capital Tbilisi next summer, with easyJet flying rom Luton and BA from Heathrow
British Airways to boost Miami as part of major summer 2025 expansion in the US
British Airways will double frequency to Miami next summer, part of an expansion programme that sees it flying more services to North America and Mexico than ever before
Sydney to become a Turkish Airlines destination from December
Turkish Airlines will begin flights to Sydney in December, bringing much-needed competition on a route that has seen soaring air fares since the pandemic
Tui looks east as it expands hotel portfolio into China and Malaysia
Tui has confirmed the opening of its first three hotels in China, which will operate under the Tui Blue brand, as well as a debut in Malaysia
Greece ponders €20 levy on cruise guests visiting sought-after destinations
Prime minister Kyriakos Mitsotakis has announced visitors to the likes of Santorini and Mykonos could be subjected to a €20 levy
American Airlines to return to Scotland next year with Philly service
Seasonal service will operate daily to Edinburgh starting 24 May
Virgin Atlantic firms up plans to resume flying to Canada next year
Heathrow-Toronto flights will resume on 30 March 2025 and will be operated as part of a joint venture with SkyTeam partners Delta Air Lines, Air France and KLM – and in partnership too with Canada’s WestJet
Iceland's Blue Lagoon spa closes again after latest volcanic eruption
The famous attraction in southwest Iceland has temporarily shut its doors again as a ’precautionary measure’ following another volcanic eruption along Iceland’s Reykjanes peninsula
Sri Lanka scraps tourist visa fees for 2024/25 winter season
The destination will allow visa-free entry to visitors from the UK this winter in a bid to boost its tourism industry, saving couples around £76
Portuguese ground handlers to walk out over late August weekend
Ground handling workers will down tools between 31 August and 1 September over pay and working conditions
New sleeper rail service to connect the UK with Venice in 24 hours
Starting 5 February, twice-weekly services will connect Brussels to Venice, opening up the prospect of a 24-hour single-change journey from the UK to Italy
Canada's capital to regain direct London air link next year
Air Canada will restore flights from London to Ottawa in spring 2025, starting with a summer-only service but with the potential of a year-round frequency
Jet2holidays and easyJet holidays 'monitoring Athens wildfires closely'
Major package operators urge customers in the area to follow guidance from their hotels and local authorities as thousands evacuated on the outskirts of the Greek capital
Singapore Airlines to go daily at Gatwick next summer
SIA to increase its current five-times-weekly Gatwick-Singapore service to daily next summer, with the additional flights taking off from 30 March 2025
Greece on high alert as 'hellish' wildfires skirt capital Athens
Resident were forced to evacuate after a wildfire broke out in the outskirts of Athens at the weekend
G Touring increases regional departures following feedback from agents
Agents ’highlighted the need for a wider variety of departure points’ said G Touring’s UK head of sales Rachel Mould
British Airways beefs up Bangkok service with more flights and new codeshare
British Airways adds three destinations in Thailand and two in Cambodia under a codeshare expansion deal as it increases frequency to Bangkok next winter
New Thailand visa options hailed 'a great sales opportunity for agents'
Thailand has extended its current visa exemption scheme from 30 to 60 days and expanded the number of eligible countries to 93
UK cements place as Turkey's third-largest market after visits go up 20%
1.8 million UK tourists visited the country during the first six months of the year
‘Jasper is Canada in a nutshell – after the wildfires, it will open its arms to your clients’
Earlier this year, TTG’s Gary Noakes headed to Jasper in Canada – he reflects on the impact of the recent wildfires that have ripped through parts of the town and the national park, and what agents can do to help the destination recover